Общество

Подстригаем морковь осенью: опытные огородники советуют делать это с учетом погоды

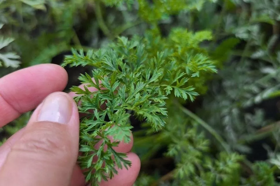
Удаление нижней части листьев морковной ботвы даст растениям возможность лучше «дышать». Фото: Ксения Мелех

Подкосить или проредить ботву моркови перед выкопкой можно, и на это могут быть очень веские причины. Однако надо при этом ориентироваться на климатические условия.

Когда «коса» ниже пояса

Зачем вообще подстригать ботву моркови осенью? Во-первых, густая листва плохо просыхает после дождей и росы, создавая влажный микроклимат у корней. Это повышает риск грибковых заболеваний и гнили. Удаляя верхнюю зелень, вы улучшаете вентиляцию и ускоряете просыхание почвы, что снижает вероятность загнивания корнеплодов.

Во-вторых, морковь с подрезанной ботвой осенью будет удобнее собирать, она не будет мешать выкопке.

Не всегда на пользу

Однако стоит учитывать, что в некоторых случаях обрезка ботвы нежелательна. Если вы планируете хранить морковь долго после уборки, ботву лучше оставлять, так как зеленая масса помогает корнеплоду дольше удерживать влагу, снижая усыхание.

Также если на улице стоит теплая погода, резкая обрезка может вызвать стрессы у растений и спровоцировать раннее старение корней.

Более щадящая процедура, которая подходит, если ботва слишком плотная, – просто проредить листья, аккуратно удалив их нижнюю часть. Это даст растениям возможность лучше «дышать».

Ранее мы рассказали, как победить появляющуюся осенью на морковной ботве мучнистую росу.